Orientační nabídka


Menu

Sociální sítě


Vyhledávání


Cesta: Titulní stránka > Kopřivnické noviny

 

Stavba kruháče u kaťáku omezí od neděle dopravu

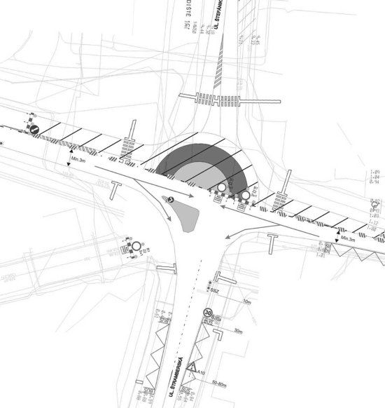
Řidiči se musejí připravit na dopravní omezení vyznačená na plánku. Budování kruhového objezdu v místě
křižovatky u Kachlovky bude znamenat další komplikace na silnicích.
REPRO: MěSTO KOPŘIVNICE
 

 
 
Řidiči se musejí připravit na dopravní omezení vyznačená na plánku. Budování kruhového objezdu v místě křižovatky u Kachlovky bude znamenat další komplikace na silnicích. REPRO: MěSTO KOPŘIVNICE

Kopřivnice (hod) – Od 1. července začne stavba okružní křižovatky u Katolického domu, která značně ovlivní už tak ztíženou dopravu v Kopřivnici. Z tohoto důvodu nedojde k avizované změně v přednosti na této křižovatce, ale provoz bude řízen semafory.

Stavba kruhové křižovatky je sice rozdělena do tří etap, ale všechny velmi silně omezí provoz v této lokalitě. V rámci první etapy, která bude zahájena 1. července, se bude stavět téměř polovina kruhové křižovatky, a to v již nyní uzavřené části, která se ještě rozšíří. Z tohoto důvodu bude svedena doprava na ulici Husově a Štramberské do jednoho jízdního pruhu o šířce tří metrů a provoz u Katolického domu bude řízen semafory. Z důvodu bezpečnosti a plynulosti dopravy a pokračování výstavby budou vymístěna veškerá auta parkující v ulici Štramberské u Katolického domu.

„Zhotovitel stavby fy COLAS CZ, a. s., po jednání se zástupci firmy Tenza, zabezpečující v úseku ulic Štramberské a Husovy výstavbu nového horkovodu pro město Kopřivnici, požádal o změnu v plánované organizaci výstavby z důvodu předpokládaných problémů se zachováním technologických postupů u přeložek inženýrských sítí. Problémy jsou avizovány při realizaci nového předizolovaného horkovodu a přeložkách síti ve vlastnictví společnosti Telefónica Czech Republic, a. s., kdy nebude možné realizovat práce po polovinách vozovky. V případě provozních komplikací se zachováním dopravního provozu fakticky na samotném staveništi zhotovitel uvažuje o práci v noci. Kromě plynu se v dané křižovatce překládají nebo budují další inženýrské sítě, jako jsou kanalizace, přeložka kabelu vysokého napětí, veřejné osvětlení, datové a telefonní kabely, rozvody KTK. V rámci druhé etapy se zvažuje dokonce provizorní využití stávajícího chodníku u bývalé školy náměstí pro zachování dopravní obslužnosti území, a to v okamžiku rekonstrukcí rozvodů sítí v historicky jedné z nejstarších oblastí města,“ uvedl Martin Lapčík, pracovník odboru rozvoje města.

První etapa by měla být dokončena do konce srpna, druhá pak do konce září a třetí do konce října. Časový harmonogram je předběžný. „Nevíme, jaké problémy mohou nastat při výkopových pracích a při překládce inženýrských sítí. Dalším ovlivňujícím faktorem jsou klimatické podmínky. Pokud bude pršet, budou práce z důvodu zavodňování výkopů přerušovány,“ podotkl Martin Lapčík.

Radní už museli řešit mimo jiné další závažný problém, který vyvstal na ulici Štefánikově, kde při výkopových pracích bylo zjištěno, že je nutné ze statických a bezpečnostních důvodů rekonstruovat opěrnou stěnu chodníku v celé její délce. „Radě města byl předložen ke schválení návrh na vybudování nové opěrné stěny o rozsahu 226 metrů. Projektant odhadl náklady na její vybudování v částce cca 1,2 milionu korun bez DPH,“ okomentoval situaci Martin Lapčík. Už dnes je jasné, že práce na této části stavby se prodlouží. V případě nepříznivého počasí může být opět doba prodlužována.

Práce na ulici Štefánikově by měly být dle rozsahu projektu dokončeny a doprava by měla být plně obnovena až koncem října.
 
Zodpovídá: Správce Stránek
Vytvořeno / změněno: 28.6.2012 / 28.6.2012 | Zveřejnit od: 28.6.2012
 

 

Kontakt

Město Kopřivnice
Štefánikova 1163/12
742 21 Kopřivnice

Tel.: +420 556 879 411
E-mail: posta@koprivnice.cz

Podrobný kontakt


Úřední hodiny

  • Po: 8:00 - 11:30, 12:30 - 17:00
  • Út: 8:00 - 11:30, 12:30 - 14:00
  • St: 8:00 - 11:30, 12:30 - 17:00
  • Čt: 8:00 - 11:30, 12:30 - 14:00
  • Pá: 8:00 - 10:00 (pokladna), 8:00 - 11:30 (pouze informace, podatelna a Czech POINT)

Navštivte také

    Zpracováno v rámci dotačního projektu: "Kvalitní úřad Kopřivnice",
    reg. č. CZ.03.4.74/0.0/0.0/19_109/0016783
    logo EU 
    Lašská brána Beskyd

Nyní jste v módu "Bez grafiky". Přepnutím do grafického módu zobrazíte standardní verzi webu.

Informace v patě

  • Aktualizace obsahu: 17.4.2026
  • Počet přístupů: 5793510 (od 18.10.2022)

web & design WEBHOUSE®, redakční systém vismo®

Tento web pro svoji správnou funkci využívá soubory cookies.

O cookies

Nastavení cookies

Tento web pro svoji správnou funkci využívá soubory cookies.

Více o cookies

Tyto soubory nám umožňují poskytnout návštěvníkům kvalitnější služby, protože nám například umožní získat anonymizované analytické údaje o používání tohoto webu.

Kompletní přehled cookies, které tento web využívá naleznete zde.

Skupiny cookies